This area of mature woodland extending to approximately 510 sq meters, has a good frontage to Vyner Road South, a prestigious residential area of the Wirral which has seen a number of residential schemes built in recent years both with small estates and infill development.
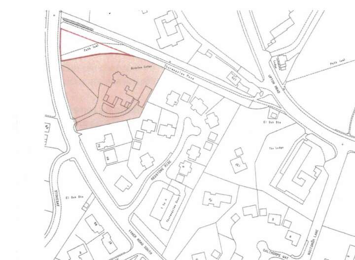
This land is of irregular shape as shown on the attached location plan.
It offers potential for a number of uses subject to obtaining the necessary Planning Permission.
Details
| Auction Date |
03rd December 2025 |
| Lot Number |
12 |
| Guide Price |
£5,000 to £10,000 |
| Status |
Sold |
| Sale Price |
£21,000 |
| Lot Type |
Vacant Land
|
| Address |
Land At Vyner Road South, Wirral, CH43 7PW view on map |
| Tenure |
Freehold |
| Viewing |
The site is open for inspection. |
Location
Legal Pack
Land at Vyner Road South Official Copy Transfer 23 11 1998 MS408835
Land-at-Vyner-Road-South-Official-Copy-Transfer-23.11.1998-MS408835.pdf
filesize: 503 kb
Download
Land at Vyner Road South Official Copy Title Plan MS408835
Land-at-Vyner-Road-South-Official-Copy-Title-Plan-MS408835.pdf
filesize: 402 kb
Download
Land at Vyner Road South Official Copy Register MS408835
Land-at-Vyner-Road-South-Official-Copy-Register-MS408835.pdf
filesize: 88 kb
Download
Land at Vyner Road South Official Copy Conveyance 01 11 1893 MS408835
Land-at-Vyner-Road-South-Official-Copy-Conveyance-01.11.1893-MS408835.pdf
filesize: 5068 kb
Download
Land at Vyner Road South Official Copy Assignment 23 11 1998 MS408835
Land-at-Vyner-Road-South-Official-Copy-Assignment-23.11.1998-MS408835.pdf
filesize: 541 kb
Download
Land at Vyner Road South Official Copy Assignment 21 09 1999 MS408835
Land-at-Vyner-Road-South-Official-Copy-Assignment-21.09.1999-MS408835.pdf
filesize: 69 kb
Download
Land at Vyner Road South Official Copy Agreement 12 01 2000 MS408835
Land-at-Vyner-Road-South-Official-Copy-Agreement-12.01.2000-MS408835.pdf
filesize: 389 kb
Download
Land at Vyner Road South Auction Contract
Land-at-Vyner-Road-South-Auction-Contract.pdf
filesize: 158 kb
Download
Floor plans
There are no floorplan downloads for this property.