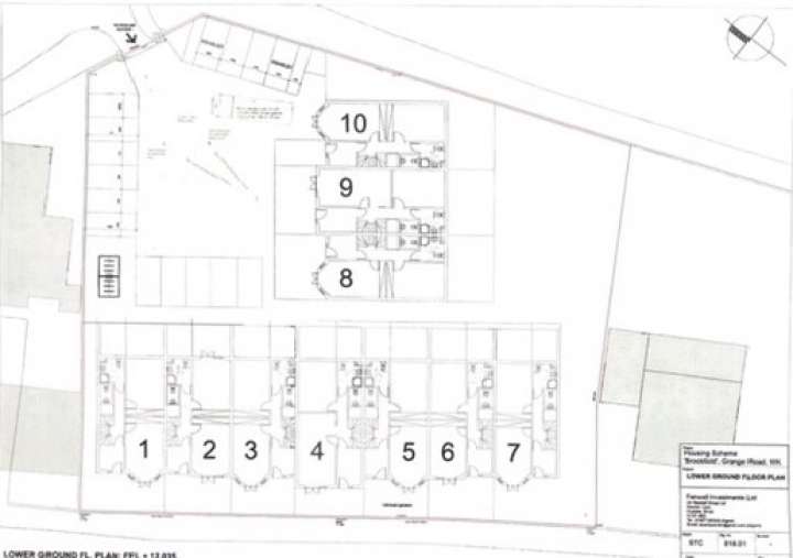
This prime residential development site is a rare opportunity to aquire and develop land extending to some 2,400 square metres within a couple of minutes walk of West Kirby Town Centre, one of the most sought after residential locations on the Wirral. It is the site of the former Brookfield Nursing Home which has now been demolished in readinesss for a new residential scheme, there being a number of options to create an exciting and exclusive development. It has frontages to both Grange Road and Brookfield Road being close to the West Kirby concourse with leisure centre, library and doctors surgery. West Kirby is renowned for its wide range of restaurants and coffee shops and of course the marina, yacht club and leisure facilities. Planning permission was granted in March 2019 under APP/18/01474 for a 44 en-suite bedroom residential nursing and care home and a copy of the planning permission and supporting documents are on the auctioneers website. Alternative schemes have been prepared for 7 detached houses or 10 town houses and again, these drawings are available to be downloaded from the website. There are portacabins on site which we are advised will be included in the sale.

Details

Auction Date 05th May 2021
Lot Number 9
Guide Price £1,400,000 to £1,600,000
Status Postponed
Lot Type Development Land
Address Land At Grange Road, West Kirby, view on map
Tenure Freehold
Joint Agents Hyatt on property

Location

Accommodation

Legal Pack

Your Name

Please enter your full name.

Please enter your email so we can get in touch.

Floor plans

There are no floorplan downloads for this property.

Back to Properties

Natwest
Rbs
Hsbc
Handesbanken
Vas
Shawbrook
Method
Magenta